Студопедия

Главная страница Случайная страница

КАТЕГОРИИ:

АвтомобилиАстрономияБиологияГеографияДом и садДругие языкиДругоеИнформатикаИсторияКультураЛитератураЛогикаМатематикаМедицинаМеталлургияМеханикаОбразованиеОхрана трудаПедагогикаПолитикаПравоПсихологияРелигияРиторикаСоциологияСпортСтроительствоТехнологияТуризмФизикаФилософияФинансыХимияЧерчениеЭкологияЭкономикаЭлектроника






Указания к выполнению работы






 

Обработка ведомости вычисления координат вершин

теодолитного хода [1, § 70; 4, § 57]

 

Увязка углов хода. Значение измеренных углов записывают в графу 2 ведомости вычисления координат (см. табл. 1). В графе 4 записывают исходный дирекционный угол α ПП7 - ПП8 = α Н (на верхней строчке) и конечный дирекционный угол α ПП19 - ПП20 = α К (на нижней строчке). Вычисляют сумму Σ β ПР измеренных углов хода. Определяют теоретическую сумму углов

где n - число вершин хода.

Находят угловую невязку fβ = Σ β ПР - Σ β Т.

Если невязка fβ не превышает допустимой величины, т.е. fβ доп = ± 1'Ö n, то ее распределяют с обратным знаком поровну на все углы с округлением значений поправок до десятых долей минут. Исправленные углы записывают в графу 3 ведомости. Сумма исправленных углов должна равняться теоретической.

Вычисление дирекционных углов и румбов сторон хода. По исходному дирекционному углу α Н и исправленным значениям углов β хода вычисляют дирекционные углы всех остальных сторон

.

Для контроля вычисления дирекционных углов вычисленное значение конечного дирекционного угла α К должно совпасть с дирекционным углом α ПП19 - ПП20.

Значение дирекционных углов записывают в графу 4 ведомости с точностью до десятых долей минут, а румбов - в графу 5.

Вычисление приращений координат. Приращения координат вычисляют по формулам:

Вычисленные значения приращений DХ и DУ выписывают в графы 7 и 8 ведомости с точностью до сотых долей метра. Знаки приращений устанавливают в зависимости от знаков cosα и sinα, либо по названию румба. Затем складывают все вычисленные значения DХ и DУ и находят практические (фактические) суммы приращений координат ∑ DХПР и ∑ DУПР.

Нахождение абсолютной и относительной линейных невязок хода; увязка приращений координат. Сначала вычисляют невязки fХ и fУ в приращениях координат по осям Х и У:

fХ = ∑ DХПР - ∑ DХТ; fУ = ∑ DУПР - ∑ DУТ,

где ∑ DХТ, ∑ DУТ - теоретические суммы приращений координат, вычисляемые по разности абсцисс и ординат конечной ПП19 и начальной ПП8 точек хода:

∑ DХТ = ХКОН - ХНАЧ;

∑ DУТ = УКОН - УНАЧ.

Примечание. Координаты начальной и конечной точек хода предварительно записывают в графах 11 и 12 ведомости.

Абсолютную линейную невязку DР хода вычисляют по формуле и записывают с точностью до сотых долей метра.

Относительная линейная невязка хода (Р - периметр хода) выражается простой дробью с единицей в числителе. Если относительная невязка окажется меньше допустимой (1/2000), то невязки fХ и fУ распределяют с обратным знаком на соответствующие приращения и пропорционально длинам сторон, записанным в графе 6, для чего вычисляют поправки

,

где di - длины линий (горизонтальных проложений).

Значения поправок округляют до сотых долей метра и записывают в графах 7 и 8 ведомости над соответствующими приращениями. Суммы поправок по DХ и DУ должны равняться невязкам fХ и fУ с противоположным знаком. Исправленные приращения записывают в графы 9 и 10; суммы исправленных приращений координат должны быть равны ∑ DХТ, ∑ DУТ.

Вычисление координат вершин хода. Координаты вершин хода получают путем последовательного алгебраического сложения координат предыдущих вершин хода с соответствующими исправленными приращениями:

Х1 = ХПП8 + DХПП8 - 1;

Х2 = Х1 + DХ1- 2 и т.д.

Контролем правильности вычислений являются известные координаты конечной точки ПП19 хода.

 

Обработка тахеометрического журнала [1, §61, 80; 2, § 21, 44, 62]

 

В табл. 2 приведена часть журнала тахеометрической съемки, в котором студент должен обработать результаты измерений, выполненных на станции ПП19 (пикеты 18 - 22).

Вычисление места нуля вертикального круга и углов наклона. Из отсчетов по вертикальному кругу при " круге лево" (КЛ) и " круге право" (КП) на предыдущую и последующую станции дважды вычисляют место нуля (МО). Для оптического теодолита 2Т30, которым была выполнена тахеометрическая съемка, МО = (КЛ+КП)/2.

При наведении со станции ПП19 на точку теодолитного хода 3

Значение места нуля для направления на ПП20 следует вычислить самостоятельно. Полученные два значения МО не должны различаться более чем на 2t (t - точность отсчетного устройства данного теодолита). Если условие выполнено, то вычисляют среднее значение МО для станции, округляя его до целых минут.

Углы наклона на реечные точки вычисляются по формуле

и записываются в графе 6 табл. 2.

Вычисление горизонтальных проложений и превышений. Вычисление горизонтальных проложений d от станций до реечных точек производят по значениям расстояний D' (см.табл. 2, графа 2), полученных по нитяному дальномеру:

Превышение h точек относительно станции вычисляют по формуле

где - высота инструмента на данной станции;

- высота визирования (см. табл. 2, графа 9);

Если при визировании на точку труба наводилась на высоту, равную высоте инструмента (l = i), то h = h' и значение превышения из графы 8 без изменения переписывают в графу 10.

Результаты измерений, выполненных на станциях ПП8, 1, 2 и 3, обработаны почти полностью, и для этих станций вместо журнала тахеометрической съемки приведена выписка из его граф 3, 7, 10, 11 и 12 (табл. 4). Данные в графах 1-4 табл. 4 общие для всех студентов, а отметки станций и реечных точек в графах 5, 6 каждый студент находит самостоятельно.

Вычисление отметок станций. Вычисление отметок станций выполняют в табл. 3, где превышения между вершинами теодолитного хода заданы и являются общими для всех вариантов. Отметки станций ПП8 и ПП19 заданы для каждого студента пунктом 3 настоящей работы.

В табл. 3 приведен пример расчета. Отметки станции вычислены последовательно от ПП8 по формулам:

Н1 = НПП8 + hПП8 -1; Н2 = Н1 + h1-2 и т. д.

 

Таблица 2 Тахеометрический журнал  

 

Таблица 3

Пример расчета отметок станций

 

 

Номера вершин хода (станции) Превышения h, м Отметки Н, м  
ПП8 - 4, 18 129, 13  
I 124, 95  
- 0, 30  
II 124, 65  
+ 0, 88  
III 125, 53  
+ 6, 88  
ПП19 132, 41  
   

 

Контролем правильности вычислений является получение известной отметки станции ПП19, записанной ранее в графе 8.

Вычисление отметок реечных точек. Вычисленные отметки станций переписывают в графу 11 (табл. 2) или графу 5 (табл. 4) на одной строчке с номером той станции, к которой данная отметка относится.

Отметки реечных точек на каждой станции студент вычисляет самостоятельно путем алгебраического сложения отметки данной станции с соответствующим превышением. Полученные отметки записывают в графу 11 табл. 2 или в графу 6 табл. 4.

 

Построение топографического плана [4, §60, 63]

 

Построение координатной сетки. Координатную сетку в виде квадратов со сторонами 10 см вычерчивают на листе чертежной бумаги размером не менее 40 x 40 см. Способы построения сетки квадратов подробно описаны в литературе [4, с. 226-228]. Если для построения сетки используется линейка Ф.В. Дробышева, то удобнее взять лист размерами не менее 60 x 60 см. Необходимое количество квадратов сетки рассчитывают исходя из полученных значений координат вершин теодолитного хода (см. табл. 1, графы 11, 12).

Пример. Самая северная (имеющая наибольшее значение Х) и самая южная (имеющая наименьшее значение Х) точки имеют абсциссы ХСЕВ = + 230, 24 м ≈ + 230 м; Х ЮЖН.= - 355, 74 м ≈ - 356 м. В масштабе плана (1: 2000) стороне квадрата в 10 см на местности соответствует расстояние в 200 м.

 

Таблица 4

Выписка из тахеометрического журнала

 

СЕВ - ХЮЖН) / 200 = (+ 230 - (- 356)) / 200 = 586/ 200 ≈ 3.

Следовательно, необходимо построить три горизонтальных ряда квадратов. Аналогично определяют число вертикальных рядов квадратов по оси У.

Сетку вычерчивают остро отточенным карандашом. Построение координатной сетки необходимо тщательно проконтролировать: циркулем-измерителем сравнивают между собой диагонали квадратов. Расхождения в их длинах допускаются не более 0, 2 мм; если расхождения получаются больше, сетку строят заново.

Координатную сетку оцифровывают так, чтобы теодолитный ход размещался примерно в середине листа бумаги.

Построение теодолитного хода по координатам его вершин. Вершины хода наносят на план по их вычисленным координатам (см. табл. 1, графы 11, 12). Нанесение точек выполняют с помощью циркуля-измерителя и масштабной линейки следующим образом [4, с. 229].

Предположим, требуется нанести точку с координатами Х = -14, 02 м и У = +627, 98 м. Сначала выясняют, в каком из квадратов сетки должна лежать эта точка: по направлению Х точка должна находится между линиями сетки с абсциссами 0 и -200, по направлению У - между линиями сетки с ординатами +600 и +800 (рис. 3, а). От линии с абсциссой 0 по вертикальным сторонам этого квадрата откладывают вниз расстояние 14, 02 м (рис. 3, б) и проводят линию, параллельную линии с абсциссой 0. Вдоль этой линии от вертикальной линии сетки с ординатой +600 откладывают вправо расстояние 627, 98 - 600, 00 = 27, 98 м.

 

Рис. 3. Построение по координатам точек планового

съемочного обоснования: а - оцифровка координатной сетки;

б - построение точки по координатам

 

Полученную точку обозначают слабым наколом иглы циркуля-измерителя и обводят окружностью диаметром 1, 5 мм; внутрь этой окружности никакие линии проводить нельзя. Рядом записывают в виде дроби: в числителе - номер точки, а в знаменателе - отметку, с точностью до сотых долей метра, взятую из табл. 4.

Нанесение точек хода необходимо проконтролировать. Для контроля измеряют расстояния между нанесенными вершинами:

получившиеся на плане длины сторон хода должны отличатся от записанных в графе 6, табл. 1 не более чем на 0, 2 мм в масштабе составляемого плана.

Последующие графические работы по составлению плана: нанесение реечных точек, изображение ситуации и рельефа местности - каждый студент выполняет по одному из двух вариантов (" а" или " б").

Нанесение на план реечных точек. Реечные точки наносят на план с помощью циркуля-измерителя, масштабной линейки и транспортира. Данные для нанесения берут из тахеометрического журнала (см. табл. 2 и 4).

Вариант " а". Студенты, фамилии которых начинаются с букв А, Б, В...., К, наносят реечные точки 1-3а, 4-12, так как следует изобразить ситуацию и рельеф местности в пределах участка, ограниченного линией ПП8 - 11, рекой и шоссейной дорогой.

Вариант " б". Студенты, фамилии которых начинаются с букв Л, М, Н,..., Я, наносят реечные точки 1-3, 3а, 11-12, изображая ситуацию и рельеф в пределах участка, ограниченного линией ПП8 - 11, рекой, линией 17-19, грунтовой и шоссейной дорогами.

Приемы нанесения на план реечных точек описаны в учебной литературе [4, с. 248-249].

При съемке на станции ПП8 лимб теодолита был ориентирован по направлению на следующую станцию 1 (отсчет по горизонтальному кругу в направлении на станцию 1 равен 0° 00΄ (см. табл. 4, графа 2)). С помощью транспортира по ходу часовой стрелки от направления ПП8 - 1 откладывают горизонтальные углы, измеренные при визировании на реечные точки 1, 2, 3, 3а и 4 (рис. 4). Получив на плане направления на эти реечные точки, от станции ПП8 по ним откладывают в масштабе 1: 2000 значения соответствующих горизонтальных проложений (см. табл. 4, графа 3).

При съемке со станции I, II, III и ПП19 лимб ориентировали по направлению на предыдущую (заднюю) станцию (рис. 5).

Нанесенную на план реечную точку обозначают слабым наколом иглы циркуля-измерителя и обводят окружностью диаметром 1, 0 мм. Рядом карандашом подписывают в виде дроби номер точки и ее отметку с округлением до десятых долей метра. Реечные точки 7, 10, 13-15, в которых были определены отметки уреза воды в реке, надо обвести окружностью диаметром 1, 2 мм, указав отметки уреза воды с точностью до сотых долей метра. Возле остальных реечных точек, взятых на линии уреза воды, подписывают только их номера.

   
Рис. 4. Построение на плане направлений на реечные точки, для которых отсчеты по горизонтальному кругу: а - меньше 180; б - больше 180 Рис. 5. Построение направлений на реечные точки, взятые со станции II

 

Изображение ситуации на плане. Накладку ситуации производят в масштабе 1: 2000 по абрисам съемки зданий (рис. 6) и абрисам тахеометрической съемки (рис. 7)). Вначале рекомендуется нанести здание, снятое способами перпендикуляров и линейных засечек.

При съемке участка были составлены абрисы (рис.6, 7).

Рис. 6. Абрис съемки зданий:

а - линия I - пп8; б - линия II - III

Примечания: 1. Ширина проезжей части шоссе 12 м, ширина

кюветов 2 м.

2. Ширина грунтовой дороги 6 м.

3. Реечные точки 3, 3а, 5 и 6 взяты на внешней

бровке кювета.

4. Съемка зданий показана отдельно.

Рис. 7. Абрис тахеометрической съемки:

а - станция пп8; б - станция I; в - станция II; г - станция III - пп19

 

Вариант " а". Используется абрис съемки здания (см. рис. 6, а)

и абрисы тахеометрической съемки (см. рис. 7, а, б и в). Шоссе наносится по реечным точкам 3а, 5 и 6, его ширина (22 м) в пределах участка съемки одинакова. Линия уреза воды в реке Ик проводится по реечным точкам 7, 10, 11 и 8, 12; ширина реки определяется взаимным положением точек 7 и 8, 11 и 12.

Вариант " б". Используется абрис съемки здания (см. рис. 6, б) и абрисы тахеометрической съемки (см. рис. 7, а, в и г). Шоссе и грунтовая дорога наносятся по реечным точкам 3а, 3, 20, 19, ширина шоссе (22 м) и грунтовой дороги (6 м) в пределах участка съемки сохраняются постоянными. Линия уреза воды в реке Ик проводится по реечным точкам 11, 13, 14, 15, 17 и 12, 16; ширина реки определяется взаимным положением точек 11 и 12, 16 и 17.

Рисовка рельефа на плане. По отметкам станций и реечных точек на плане проводят горизонтали с сечением рельефа через 1 м. Следы горизонталей следует отыскивать графической интерполяцией; ее выполняют только между точками, которые в абрисах тахеометрической съемки (рис. 7, а, б и в - по варианту " а" или рис. 7, а, в и г - по варианту " б") соединены стрелками. Соединение каких-либо двух точек в абрисе стрелкой говорит о том, что местность между ними имеет один скат (без перегибов), направление по которому и указывает стрелка. Приступая к изображению рельефа, точки на плане соединяют карандашом тонкими вспомогательными линиями. Интерполяция по намеченным линиям может производиться любым из способов, описанных в литературе [4, с. 249-250].

Найденные интерполяцией следы одноименных горизонталей соединяют плавными кривыми и таким образом получают горизонтали. Отметки горизонталей, кратные 5 м, подписывают в их разрывах; при этом верх цифр должен быть обращен в сторону повышения ската местности. На некоторых горизонталях ставят берг-штрихи в характерных направлениях линии рельефа; бергштрих обязательно ставят на каждой замкнутой горизонтали.

Через контуры здания, шоссе и грунтовой дороги горизонтали не проводят.

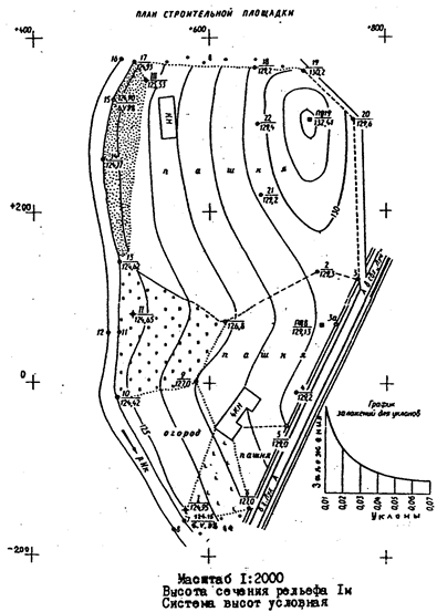
Построение графика заложений. В нижней части плана строят график заложений для уклонов. Задаваясь уклонами 0, 01; 0, 02; 0, 03; 0, 04; 0, 05; 0, 06; 0, 07 и высотой сечения рельефа 1 м составляемого плана, вычисляют соответствующие им заложения. Исходной формулой для вычисления является формула уклона

,

где - превышение (в нашем случае - высота сечения рельефа);

- заложение.

По горизонтальной оси графика откладывают значения уклонов равными отрезками произвольной величины. На концах отложенных отрезков восставляют перпендикуляры, по которым откладывают в масштабе 1: 2000 соответствующие уклонам вычисленные значения заложений. Через концы отложенных заложений проводят плавную кривую (рис. 8).

Рис.8. Образцы некоторых условных знаков для масштаба 1: 2000

Рис. 8 (Окончание). Образцы некоторых условных знаков

для масштаба 1: 2000

 

Оформление топографического плана строительной площадки. Все контуры и рельеф, изображаемые на плане, вычерчивают тушью в соответствии с " Условными знаками..." [5]. При этом необходимо тщательно выдерживать очертания, размеры и порядок размещения значков, приведенных в " Условных знаках..." для масштаба 1: 2000. Все построения и надписи выполняют тонкими линиями карандашом. Вспомогательные построения на плане тушью не обводят.

При вычерчивании элементов рельефа горизонтали проводят толщиной 0, 1 мм, а горизонтали с отметками, кратными 5 м, утолщают в 2, 5 раза и подписывают в их разрывах.

При отсутствии книги " Условные знаки..." можно руководствоваться образцами условных знаков, приведенными на рис. 8.

С северной стороны участка подписывают значения У, а с западной – значения Х линий координатной сетки. В верхней части листа выполняют заглавную надпись, в нижней указывают численный масштаб плана, высоту сечения рельефа, систему высот и размещают график заложений для уклонов. Общее представление об оформлении плана дает рис.9 (построение выполнено по значениям координат, взятым произвольно).

 

 

Рис. 9. Образец оформления топографического плана

 

 

ЗАДАНИЕ 4. Решение задач по топографическому плану строительной площадки

 

Задача 1. Найти отметку точки А, взятой между двумя соседними горизонталями. Точка А намечается самим студентом между любыми двумя горизонталями. Найденную отметку подписывают на плане возле точки.

Задача 2. Определить уклон отрезка ВС, проведенного между соседними горизонталями. Отрезок проводится в любом месте плана так, чтобы его точки В и С лежали на двух соседних горизонталях. Найденное значение уклона подписывают вдоль отрезка.

Задача 3. От ПП8 к реечной точке 10 (для варианта " а") или от ПП19 к точке III (для варианта " б"), используя график заложений, провести кратчайшую ломаную линию так, чтобы ни на одном из ее отрезков уклон не превышал 0, 02.

Ответы по задачам оформляются студентом на составленном плане; необходимые для этого построения выполняются в карандаше четко и аккуратно.

На рецензирование по работе в целом предоставляются:

1) ответы на контрольные вопросы;

2) решения задач по вычислению дирекционных углов и координат точек;

3) ведомость вычисления координат вершин теодолитного хода;

4) тахеометрический журнал;

5) ведомость вычисления отметок станций (вершин теодолитного хода);

6) план строительной площадки;

7) решения задач по топографическому плану строительной площадки.

 

 

КОНТРОЛЬНАЯ РАБОТА №2

 

Контрольная работа состоит из трех заданий: в первом задании необходимо ответить на вопросы; во втором - решить задачи по обработке результатов геометрического нивелирования; в третьем - составить профиль трассы дороги.


Поделиться с друзьями:

mylektsii.su - Мои Лекции - 2015-2026 год. (0.658 сек.)Все материалы представленные на сайте исключительно с целью ознакомления читателями и не преследуют коммерческих целей или нарушение авторских прав Пожаловаться на материал