Студопедия

Главная страница Случайная страница

КАТЕГОРИИ:

АвтомобилиАстрономияБиологияГеографияДом и садДругие языкиДругоеИнформатикаИсторияКультураЛитератураЛогикаМатематикаМедицинаМеталлургияМеханикаОбразованиеОхрана трудаПедагогикаПолитикаПравоПсихологияРелигияРиторикаСоциологияСпортСтроительствоТехнологияТуризмФизикаФилософияФинансыХимияЧерчениеЭкологияЭкономикаЭлектроника






Жобаны геодезиялық дайындау






 

Жобаны геодезиялық дайындау− негізгі мазмұ ны геодезиялық жұ мыстарды орындай отырып жобаны қ ұ растыруғ а арналғ ан технологиялық процесс.Оларғ а санақ тар алу, сызбаны қ ұ растыру жә не т.б. жатады.

 

 

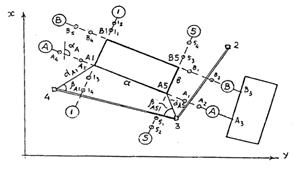
Сурет 14. Қ ұ рылыстың негізгі ө стерін жер бетіне шығ ару

 

Жобаны жер бетіне шығ ару ү шін негізгі қ ұ жаттар мыналар болып табылады:

1: 500-1: 2000 масштабтағ ы қ ұ рылыстың бас жоспары. Онда топографиялық негізде барлық жобаланғ ан қ ұ рылыстар тү сірілген, негізгі нү ктелердің жобалық координаттары жә не жазық тық тардың белгілері кө рсетілген. Кү рделі қ ұ рылыстар ү шін бас жоспарды геодезиялық негіз пункттеріне байланыстыру мә ндерімен басты ө стердің бө лу сызбаларымен толық тырады (қ алаларда – қ ұ рылыстың қ ызыл сызық тарымен).

Ү лкен масштабтағ ы пландар, кескіндер, бө лшектерінің биіктіктері мен ө лшемдері бар қ ұ рылыстың барлық бө ліктерінің профильдері берілетін жұ мыс сызбалары.1: 1000-1: 2000 масштабтағ ы вертикаль жоспарлау жобасы –нө сер суларының ағ ынын қ амтамасыз ететін бірқ алыпты ең істі жазық тық қ ұ ру ү шін жер бедерінің табиғ и ө згеру жобасы.

Жобада квадраттар мен кө лбеуліктер торлары бойынша жер бетінің биіктіктері берілген. Жер жұ мыстарының картограммасында квадраттар немесе массивтер бойынша қ азындылар мен ү йінділер кө лемі келтірілген жә нежер массаларының орын ауыстыру бағ ыттары кө рсетілген.

Жолдың, жер асты коммуникацияларының, ә уе сызығ ының горизонталь 1: 2000-1: 5000-дық, вертикаль 1: 200-1: 500-дік масштабтағ ы жоспары мен бойлық профильдері.[15]

Қ ұ рылыс алаң ының геодезиялық негіздеу ү лгісі, центрлер мен таң балардың сызбалары, координаттар мен белгілердің ведомостері.

Жобалық шешімдерді негіздеу мен жә не инженерлік есептердің тү сіндірме жазуы.

Бұ дан басқ а, қ ұ рылыс жә не геодезиялық жұ мыстарды ұ йымдастыру жобасы, қ ұ рылыстың кү нтізбелік жоспары, сонымен қ атар қ осымша ө ндірістік мекемелердің орналастыру жобасы жә не уақ ытша қ ұ рылыс –қ ұ рылыс бас жоспары оқ ытылады.

Қ ұ рылыс жобасын жер бетіне шығ ару ү шін оғ ан геодезиялық дайындық жасайды, оғ ан мыналар кіреді:

а) жобаның аналитикалық есебі;

б) геодезиялық негіз пункттеріне басты ө стердің байланыстыру мә ліметтерімен бө лу сызбаларын қ ұ ру;

в) геодезиялық жұ мыстардың ө ндірістік жобасын ө ң деу (ГЖӨ Ж).

Жобаны геодезиялық дайындау қ ұ рылысты жобалау тә сіліне тә уелді: аналитикалық, графоаналитикалық, графикалық.

Аналитикалық тә сілде жобалық мә ндер математикалық есептеу жолымен табылады, ал бұ рыннан бар ғ имараттар мен қ ұ рылыстар координаттарын геодезиялық байланыстыру арқ ылы анық тайды, ал жоба элементтерінің ө лшемдерін технолнгиялық есептерге жә не ауданды горизонталь жоспарлау ү лгісіне байланысты береді. Қ ұ рылыстың бас жоспары қ абылданғ ан жобалық шешімдердің кө рнекілігі ү шін ғ ана қ ызмет етеді. Бұ л жобалау ә дісін кө бінесе кә сіпорынды, теміржол торабын жә не т.б. жаң арту жә не кең ейту ү шін қ олданады.

Кө бінесе графоаналитикалық тә сіл қ олданылады. Онда жобалауғ а арналғ ан бастапқ ы мә ліметтер топографиялық планнан графикалық жолмен алынады (қ ұ рылыс ө лшемдері, контурлық нү ктелер қ атарының координаттары), қ алғ ан мә ліметтер аналитикалық жолмен анық талады (жобаланатын қ ұ рылыс ө лшемдері, ғ имараттардың бұ рышының координаттары).Егер қ ұ рылыс жобасы бұ рыннан бар қ ұ рылыстармен байланысты болмаса, онда кейде жобалаудың графикалық тә сілін қ олданады. Онда жоспарлауғ а қ атысты барлық негізгі сұ рақ тар планда (жоспарда) графикалық тү рде шешіледі.

Жоба есебін графикалық координаттар бойынша оның барлық негізгі нү ктелерін шығ арады. Кері есепті шешу арқ ылы геодезиялық негіз пункттерінен басты ө стерін жер бетіне шығ ару ү шін жеке сызық тар мен полярлық координаттардың ұ зындық тары мен дирекциондық бұ рыштарын табады.

Графикалық тә сілде жобалау қ атесі біріншіден жоспар дә лдігіне жә не оның масштабына тә уелді (байланысты).

 

мұ ндағ ы, -жоспардағ ы сызық ұ зындық тарын немесе нү кте координаттарын анық тау қ ателігі; М-жоспар масштабының бө лгіші.

Жобаның аналитикалық есебі. Жобалау тә сілінен тә уелсіз жобаны жер бетіне шығ ару ү шін барлық геометриялық элементтер бір-бірімен қ атаң математикалық байланысты жә не алаң ында (аумағ ында) кү рделі ғ имараттар мен инженерлік қ ұ рылыстар бар болуы керек. Бұ л жобалау ү шін бастапқ ы мә ліметтер қ ателігінің бө лу жұ мыстары дә лдігіне ә серін жою ү шін қ ажет (координаттар, биіктіктер, сызық ұ зындық тары), ә сіресе аналитикалық есептеуде жобалық ө лшемдер мен бұ рыштар бойынша қ ұ рылыс ө стерінің қ иылысу координаттарын, қ ұ рылыстың қ ызыл сызығ ын есептейді; керісінше, жер бетіндегі ө лшемдер нә тижесінде алынғ ан бастапқ ы координаттар бойынша сызық ұ зындық тарының есептік мә ндерін жә не айналу бұ рышын табады.

Трассаларда тү зулер мен қ исық тар элементтерін, жобалық биіктіктікті жә не ең істі анық тайды. Тіректік ғ имараттарда бұ рыштық нү ктелердің координаттарын тексереді. Негізгі бө лу ө стерін геодезиялық негіз пункттеріне байланыстырады.

Жобаның аналитикалық есебінде шешілетін типтік геодезиялық есептер болып тура жә не кері есеп табылады; екі тү зудің (тү зу жә не қ исық) қ иылысу нү ктелерін анық тау, берілгендерге параллель жә не перпендикуляр сызық тардың тең деулерін, шең берлі қ ұ рылыстардың центрлерінің координаттарын есептеу; қ исық тардың негізгі элементтерін есептеу жә не т.б.

Тексеру ү шін, жобалық координаттарды тұ йық полигондар бойынша жә не геодезиялық негіз пункттерінің арасындағ ы жү рістер бойынша есептейді.

Жобаны байланыстыру. Жобаны байланыстыру деп жер бетінде қ ұ рылыстың басты (негізгі) ө стерін бө летін геодезиялық мә ліметтердің есептерін айтады. Байланыстыру кепілдендірілген тексерумен есептеледі.

Қ айтадан салынғ ан қ ұ рылыс бұ рыннан бар қ ұ рылыспен тығ ыз байланысты болғ ан жағ дайда, жобаны жаң арту жә не кең ейту кезіндегі байланыстыру мә ліметтері болып, ә детте, қ ұ рылыс ө стері немесе контурынан жобаланатын қ ұ рылысқ а дейінгі арақ ашық тық табылады.

Бө луді тексеру ү шін басты нү ктелердің бірін алаң да бар геодезиялық пунктке байланыстырады.

Қ алалық территорияда қ ұ рылыс жобасын байланыстыру қ ұ рылыс алаң ын кө ше белдеуінен бө ліп тұ ратын қ зыл сызық нү ктелеріне полярлық немесе тік бұ рышты координаттар тә сілімен жасалады.

Қ ызыл сызық жоспарын дә л жоспарлау жобасын ө ң деу кезінде қ ұ рады, бұ л жағ дайда нү ктелерді полигонометриялық тор пункттері бойынша жер бетіне шығ арады жә не бекітеді, сонымен қ атар қ исық тың тура жә не басты нү ктелерінің барлық бұ рылыс нү ктелерінің координаттарын есепке алады.

Қ ызыл сызық тың барлық бекітілген нү ктелері бойынша тексеріс ү шін полигонометриялық жү ріс салады. Оларды ө ң деу нә тижесінде қ ызыл сызық тың атқ арушыкоординаттарын алады. Егер бұ л координаттар кейбір нү ктелерде (жобалық) есептік мә ннен берілетін ауытқ удан асатын мә нге (3-5см) ауытқ ып тұ рса, онда бұ л нү ктелердің орналасу орны тү зетіледі.

Жобаны қ ызыл сызық қ а қ атысты жер бетіне шығ ару бө лу элементтерінің тиісті есептеуімен геодезиялық негіздің жақ ын пункттерінен қ ұ рылысты бө лумен алмастырылуы мү мкін.

Бө лу сызбаларын қ ұ растыру. Қ ұ рылыстың бас жоспары, аналитикалық есебі жә не жобаны байланыстыруы негізінде бө лу сызбасы –жер бетіндегі қ ұ рылыстың басты ө стерін бө лу кезіндегі негізгі қ ұ жат қ ұ растырылады. Бұ л қ ұ жатта қ ұ рылыстың кү нделігіне байланысты бө лу негізінің пункттерін 1: 2000 -1: 5000 немесе одан да ірі масштабта кө рсетеді; басты ө стердің координаттары мен бө лу элементтерінің орналасуы; қ ұ рылыстың қ абырғ аларының ұ зындық тары мен бұ рылыстарының бұ рыштарының контуры.

Геодезиялық жұ мыстардың ө ндірістік жобасы. Жеке қ ұ рылыстарды салу ү шін объекттің бас жоспарын, қ ұ рылыс бас жоспарын жә не техникалық шарттарын қ арастыру негізінде ГЖӨ Ж қ ұ рылады, ол қ ұ рылыс-монтаждық жұ мыс ө ндірісінің негізгі жобасының қ ұ рама бө лігі болып табылады.

ГЖӨ Ж қ ұ рылыстық жұ мыс кешенін жә не технологиялық жабдық тау монтажын уақ ытында геодезиялық мә ліметтермен қ амтамасыз етуге арналғ ан жоба келесі негізгі бө лімдерден тұ рады:

1.Қ ұ рылыс алаң ындағ ы геодезиялық жұ мыстарды ұ йымдастыру. Жұ мыстың орындалуының технологиялық жә не кү нтізбелік жоспары. Геодезиялық қ ызметтің схемасы жә не оның бө лімдерінің функциялары. Геодезиялық аспаптармен қ амтамасыз ету графигі. Геодезиялық жұ мыс ө ндірісінің экологиялық есебі (сметасы).

2.Негізгі инженерлік-геодезиялық жұ мыстар. Алаң да пландық жә не биіктіктік бө лу негіздерін жә не оның дә лдік негіздерін қ ұ ру схемасы мен программасы (бағ дарламасы). Тең естіру. Центрлер мен белгілердің тү рлері. Пландық жә не биіктіктік негіздер тұ рақ тылығ ын тексеру мерзімділігі.

3.Геодезиялық бө лу жұ мыстары. Қ ұ рылыстың басты (негізгі) ө стерін бө лу. Қ ұ рылыстық -монтаждық жұ мыстың этаптары бойынша қ ұ рылыстың дә л бө лінуі. Атқ арылатын тү сірістер.

4.Конструкциялар мен жабдық тарды геодезиялық дұ рыстау. Монтаждық ө стерді бө лу жә не бекіту. Планда конструкцияны биіктіктік жә не вертикаль бойынша дұ рыстау жә не орнату. Дә лдікке қ ойылатын талаптар. Аспаптар. Тексеру ө лшемдері.

5.Қ ұ рылыстың деформацияларын бақ ылау. Дә лдік негізі. Ә дістер. Геодезиялық негіз. Белгілерді орналастыру схемасы. Бақ ылау мерзімі. Есептік қ ұ жаттар.

 

 

4 Жобалау жә не геодезиялық іздестіру жұ мыстары кезіндегі ең бекті жә не қ оршағ ан ортаны қ орғ ау


Поделиться с друзьями:

mylektsii.su - Мои Лекции - 2015-2026 год. (1.553 сек.)Все материалы представленные на сайте исключительно с целью ознакомления читателями и не преследуют коммерческих целей или нарушение авторских прав Пожаловаться на материал