Студопедия

Главная страница Случайная страница

КАТЕГОРИИ:

АвтомобилиАстрономияБиологияГеографияДом и садДругие языкиДругоеИнформатикаИсторияКультураЛитератураЛогикаМатематикаМедицинаМеталлургияМеханикаОбразованиеОхрана трудаПедагогикаПолитикаПравоПсихологияРелигияРиторикаСоциологияСпортСтроительствоТехнологияТуризмФизикаФилософияФинансыХимияЧерчениеЭкологияЭкономикаЭлектроника






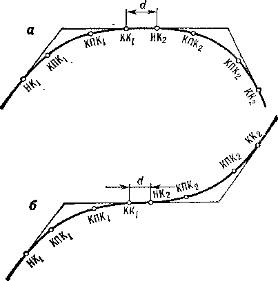
Смежные кривые






Смежные кривые (зависимые кривые), — близко расположенные один от другого криволинейные участки железнодорожные пути, каждый из которых влияет на условия движения поездов по смежному участку. Различают динамически зависимые кривые, расстояние между которыми меньше длины, потребной для затухания поперечных и вертик. колебаний вагона, вышедшего из кривой на прямой участок пути; зависимые кривые по режиму движения поезда, расстояние между которыми меньше необходимого для разгона поезда по выходе из предыдущей кривой или для торможения его перед следующей кривой (при определении допускаемых скоростей эти кривые рассматриваются совместно); геометрические зависимые кривые, расстояние между которыми меньше длины вагона.
Для обеспечения плавности движения поездов между зависимыми кривыми устраивают прямые вставки d (см. рис.), протяжённость которых зависит от скорости движения поездов, числа периодов затухания колебаний вагонов (принимается обычно 2—3) и собств. частоты колебаний (1, 5—3Гц).

 

Рис.1 -Зависимые кривые: а — направленные в одну сторону: б — направленные в разные стороны (обратные кривые); НК и КК - начало и конец кривой; КПК - конец переходной кривой.

Как правило, между зависимыми кривыми, направленными в одну сторону, прямые вставки устраивают большей длины, чем между зависимыми кривыми направленными в разные стороны (обратные кривые). На отечественных железных дорогах наименьшие длины прямых вставок составляют 150 м при скоростях движения поездов до 200 км/ч; в трудных условиях на железных дорогах местного значения и подъездных путях длины вставок уменьшаются до 30 м. В стеснённых условиях трассирования новых железных дорог местного значения, а также на реконструируемых существующих железных дорог и вторых путях допускается сопрягать без прямых вставок обратные кривые, а на подъездных путях при малых скоростях движения — также кривые, направлены в одну сторону. На ряде зарубежных железных дорог (Великобритания, Германии, Австрия и др.) в условиях, когда между зависимыми кривыми нельзя устроить прямую вставку необходимой длины, для обеспечения большей плавности движения поездов переходные кривые удлиняют, сопрягая их без прямой вставки.

Практическая работа 3

Определение расстояния между вершинами углов смежных кривых

Цель: определить расстояния между вершинами углов смежных кривых, а также вычертить смежные кривые с указанием размеров.

Состав и порядок работы

1. Дать определение смежным кривым.

2. Прямые вставки между кривыми.

3. Рассчитать фиктивную прямую вставку.

4. Определить приращения тангенсов, элементы переходных кривых, сдвижки кривых.

Ход работы

3. Фиктивная прямая вставка:

, (25)

где приращения тангенсов смежных круговых кривых;

- элементы переходных кривых;

а - длина прямой вставки.

4. Приращение тангенса:

, (26)

где - сдвижка первой кривой.

Сдвижка:

, (27)

где - длина первой переходной кривой;

- радиус первой кривой.

Элемент переходной кривой:

, (28)

Расстояние между вершинами углов поворота смежных кривых определяется по формуле:

, (29)

где , (30)

, (31)

Для того, чтобы вычертить план трассы с кривыми необходимо определить для каждой кривой сдвижку и смещение от центра по направлению биссектрисы на величину при этом R кривой сдвинутой внутрь остается неизменным, а начало и конец кривой смещаются по направлению касательной на величину .

Для первой кривой величина биссектрисы:

, (32)

, (33)

Таблица 5- Исходные данные для практической работы 3

Расположение кривых Зона скоростей Радиус кривой , м Радиус кривой , м Угол поворота Угол поворота
В одну сторону В разные стороны
             
             
             
             
             
             
             
             
             
             
             
             
             
             
             
             
             
             
             
             
             
             
             
             
             
             
             
             
             
             

 


Таблица 6- Минимальные длины прямых вставок по СТН-Ц-01

  Длина прямолинейной вставки, м
Категория железной дороги В нормальных условиях между кривыми, направлениями В трудных условиях между кривыми, направлениями
  в разные в одну в разные в одну
  стороны сторону стороны сторону
Скоростные        
Особогрузонапряженные        
I и II        
III        
IV        

Таблица 7- Длина переходных кривых, м.

Радиус кривой, м Категория железнодорожной линии и подъездного пути
Особо грузонапряженная, 1, 2-ая 3-я 4-ая
Зоны скоростей движения поезздов
                 
              - - -
  60-40 40-20   40-30 30-20   - - -
  80-60 40-20   40-30     - - -
  100-80 60-40   60-40 40-30   40-20    
  120-100 60-40   60-40     50-30    
  120-100 80-60   80-60 50-40   60-40    
  160-140 100-80 40-30 80-60 60-50   60-40 40-30  
  180-140 120-100 40-30 100-80 80-60 40-30 80-60 40-30  
  180-140 140-100 60-40 140-100 100-80 40-30 100-60 60-40 30-20
  180-140 160-120 80-40 160-120 100-80 40-30 120-80 60-40 40-20
  180-140 160-140 100-60 160-120 120-100 60-30 120-8о 80-40 40-20
  160-120 160-120 120-80 160-120 160-100 60-30 120-80 80-60 50-20
  160-120 160-100 140-80 160-100 160-100 100-60 120-80 100-60 60-30
  160-100 160-100 160-80 160-100 160-80 120-80 120-80 120-80 60-30
  160-80 160-80 160-80 160-80 160-80 160-80 120-80 120-80 60-30
  160-80 160-80 160-80 160-80 160-80 160-80 120-80 120-80 80-40
  - - - - - - 100-60 100-60 80-50
  - - - - - - 100-60 100-60 80-50


Поделиться с друзьями:

mylektsii.su - Мои Лекции - 2015-2026 год. (4.858 сек.)Все материалы представленные на сайте исключительно с целью ознакомления читателями и не преследуют коммерческих целей или нарушение авторских прав Пожаловаться на материал